Traumhaus in ruhiger Lage - 10 Minuten vom Timmendorfer Strand :-)
			- 
			Im Preis enthalten:
Fußboden Heizung im EG und OG
Luft Wasserwärmepumpe von Buderus
Verblendung
Elektrische Rollläden
Farbige Fenster und Türen
Nebeneingangstür
Eine Dusche 90 x120 cm
Dusche im Gäste WC 90 x 90 cm
Tondachpfannen
Unterschlag aus PVC
Angebot laut Zeichnung
Die Summe setzt sich wie folgt zusammen:
245.000€ Grundstück
330.000€ schlüsselfertiges Haus
Massiv Stein auf Stein
Das typische Küstenhaus – auch Kapitänshaus genannt – mit seinem unverwechselbaren Charakter besticht durch den Friesengiebel in der Mitte des Hauses. Er ist der sichtbare Unterschied zum Einfamilienhaus und sorgt für zusätzlichen Raumgewinn im Obergeschoss. Viel Licht und Raum auf allen Ebenen zeichnen diesen Haustyp aus. Ob als Verblendvariante mit Satteldach oder Putzvariante mit Krüppelwalmdach, ob mit Friesen- oder Kapitänsgiebel, wir bauen es so wie Sie es wollen. Eben typisch nordisch!
Inklusive nachfolgender Leistungen:
Sämtliche Bauleistungen nach der Energie-und Einsparverordnung
Individuelle Grundrissgestaltung nach Ihren Wünschen. (Innenwände individuell versetzbar)
Architektenleistung, Bauanträge, Statik
Erdarbeiten, gemäß Baubeschreibung
Streifenfundamente, inkl. Sohlplatte & 5 cm Untersohlendämmung
12cm Wanddämmung
Stahlbetondecke mit Trittschalldämmung
Massive Innenwände
Wandhängende WC`s mit Abmauerung und Hintermauerspülkasten
Dusche Fa. Kaldewei inkl. Armaturen und 2-teiliger Abtrennung im Bad
Badewanne Fa. Kaldewei inkl. Armaturen und gefliester Frontschürze
Nebeneingangstür im HWR in Kunststoff
Hauseingangstür eventuell mit Seitenteil feststehend in Kunststoff
Fenster aus Kunststoff, dreifachverglast Ug-Wert 0,6W/m²*K
inklusive Warmer Kante
Pilzkopfverriegelung (besserer Einbruchschutz)
Bodenfliesen in Diele, Küche, HWR, Gäste-WC, Bad mit Sockelleiste
Wandfliesen:
Bad 2m hoch/ bis Dachschräge
Fliesenpreis 26 EUR/m²
Frostsicherer Außenwasseranschluss
Nur Marken – und Qualitätsbaustoffe
Bauausführung nur durch Meisterbetriebe aus der Region
Bauherrenhaftpflichtversicherung, Bauleistungsversicherung und Feuer-Rohbauversicherung
Absteckung und Einmessung des Gebäudes (vor Baubeginn)
Stromkasten setzten, gemäß Baubeschreibung
Bauschuttentsorgung
Bautoilette
Bauleitung durch erfahrene und qualifizierte Mitarbeiter
Alle Außenmaße (gleiche Grundfläche) frei wählbar. Sie planen Ihren Grundriss nach Ihren Vorstellungen und Wünschen mit unserem Architekten
Endenergiebedarf 60 kWh/(m²*a)
Mit folgenden Kosten müssen Sie noch rechnen Hausanschlüsse, Maler u. Bodenbeläge, Versicherung, Glasfaser, Küche, Grunderwerbsteuer, Makler ( für das Grundstück ), Notar und Außenanlagen – ca. 100.000 €. Hierzu biete ich Ihnen gerne ein persönliches Gespräch an. 🙂 - 
			
Flächen
- Wohnfläche: 167 m²
 - Grundstücksfläche: 1.200 m²
 - Zimmer insgesamt: 4
 
Zustand & Erschließung
- Baujahr: 2026
 
 - 
			
- Heizungsart: Fußbodenheizung
 
 - 
			
- Baujahr (Energieausweis): 2026
 
 - 
			
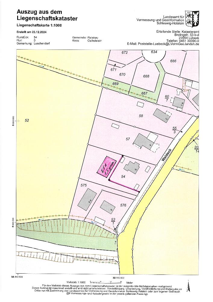
Das sehr schön geschnittene, noch zu vermessende Pfeifenstilgrundstück befindet sich in Luschendorf, einem kleinen Ort zugehörend zur Gemeinde Ratekau. Oberhalb der Ostseestraße liegt das attraktive Grundstück mit einem herrlichen Weitblick und in Feldrandrage. Hier genießt man die Natur und Ruhe. Es befindet in zweiter Reihe oberhalb der Ostseestraße.
Die Zulässigkeit von Bauvorhaben auf dem Grundstück ist nach §34BauGB zu beurteilen. Nach dieser Bestimmung ist ein Vorhaben zulässig, wenn es sich in die Eigenart seiner näheren Umgebung einfügt. Das Grundstück ist ortsüblich erschlossen. Die Medien befinden sind in der unteren Zufahrtsstraße.
Das noch zu vermessende Grundstück mit einem herrlichen Weitblick mit einer Größe von ca. 1200 m² ist der Grundstein für ein ruhiges Leben, abseits des Alltags. Für das Haus liegt eine Hausplanung vor. Die mögliche Grundfläche des Hauses beträgt 9m x 12m. Eine Bauvoranfrage ist gestellt, in Bearbeitung und Prüfung.
Wir bitten Sie auf Wunsch der Eigentümer das Grundstück nicht eigenmächtig zu betreten. Vielen Dank für Ihr Verständnis!
 - 
			
- Kaufpreis: 575.000 €
 
 
Grundrisse
			
				
































